Skoliozė – tai būklė, kai stuburas iškrypsta į šoną, įgyja C arba S formą. Nors įprastai mūsų stuburas turi lengvas įlinkius į priekį ir atgal, skoliozės atveju šis natūralus išlinkimas sutrikdomas ir stuburas nukrypsta į kairę arba dešinę pusę.
- 1.Kas yra skoliozė?
- 2.Skoliozės rūšys
- 3.Kaip dažnai pasitaiko skoliozė?
- 4.Skoliozės simptomai
- 5.Kokia stuburo dalis gali būti paveikta?
- 6.Skoliozės priežastys
- 7.Rizikos veiksniai
- 8.Komplikacijos
- 9.Skoliozės nustatymas ir tyrimai
- 10.Skoliozės gydymas
- 11.Ar galima išvengti skoliozės?
- 12.Kas laukia gyvenant su skolioze?
- 13.Fizinis aktyvumas ir skoliozė
- 14.Kada kreiptis į gydytoją?
- 15.Klausimai, kuriuos verta užduoti gydytojui
Kas yra skoliozė?
Skoliozė – tai šoninis stuburo iškrypimas. Daugeliu atvejų būklė nekelia pastebimų simptomų ir nereikalauja gydymo, tačiau stipresni iškrypimai gali lemti laikysenos pokyčius, skausmą ar kitas problemas. Priklausomai nuo situacijos, gydymas gali būti stebėjimas, korseto nešiojimas ar operacija.
Skoliozės rūšys
Skoliozė skirstoma į kelias pagrindines formas:
- Idiopatinė skoliozė. Dažniausiai pasitaikantis tipas, kai tiksli priežastis nenustatoma, tačiau yra paveldimumo požymių.
- Įgimta skoliozė. Retas atvejis, diagnozuojamas gimus. Ši forma išsivysto dėl netaisyklingo stuburo slankstelių susiformavimo dar ankstyvame vystymosi tarpsnyje.
- Neuromuskulinė skoliozė. Šios rūšies skoliozė atsiranda tada, kai stuburą palaikantys raumenys ar nervai yra silpni dėl pagrindinių ligų, tokių kaip raumenų distrofija, cerebrinis paralyžius, spina bifida ar sužalojimai.
Skoliozė, pastebima suaugus, vadinama suaugusiųjų (degeneracine) skolioze. Dažnai ji būna lengvos formos dar vaikystėje, o ilgainiui simptomai išryškėja dėl su amžiumi susijusių pokyčių – diskų, sąnarių susilpnėjimo ar mažėjančio kaulų tankio.
Skoliozės skirstymas pagal amžių
- Kūdikių skoliozė: diagnozuojama iki 3 metų amžiaus
- Vaikų skoliozė: nuo 4 iki 10 metų
- Paauglių skoliozė: nuo 11 iki 18 metų
- Suaugusiųjų idiopatinė skoliozė: nustatoma užbaigus augimą (po 18 metų)
Kaip dažnai pasitaiko skoliozė?
Manoma, kad apie 2 % pasaulio gyventojų turi skoliozę. Dažniausiai ji pasireiškia vaikystėje ar paauglystėje.
Skoliozės simptomai
- Nugaros skausmas
- Silpni liemens raumenys
- Sunku išlaikyti taisyklingą laikyseną
- Skausmas, tirpimas ar silpnumas kojose
Skoliozės požymiai
- Nesimetriški pečiai
- Išsikišę mentės
- Galva nėra tiesiai virš dubens
- Nelygi liemens linija arba pakilę klubai
- Nuolatinis pasilenkimas į vieną pusę
- Skirtingas kojų ilgis
- Odos pakitimai ties stuburu (duobutės, apaugę plaukais lopai, spalvos pokyčiai)
Ilgainiui gali pasireikšti augimo sumažėjimas ir dar didesnis dubens ar klubų asimetriškumas.
Kokia stuburo dalis gali būti paveikta?
Skoliozė gali būti bet kurioje stuburo dalyje, tačiau vaikams dažniausiai pastebima krūtinės ląstos srityje, o suaugusiesiems – juosmeninėje dalyje, ypač tuomet, kai iškrypimas didėja dėl natūralaus senėjimo.
Skoliozės priežastys
Priklausomai nuo skoliozės tipo, priežastys gali būti įvairios:
- Įgimti stuburo slankstelių raidos trūkumai
- Paveldimos (genetinės) variacijos
- Raumenų ir nervų ligos ar sužalojimai
- Navikai stuburo srityje
- Traumos
Visgi dažniausiai tiksli priežastis nerandama (idiopatinė skoliozė).
Rizikos veiksniai
- Paveldimumas – jeigu šeimoje yra sirgusių skolioze
- Pagrindinės stuburo, raumenų ar nervų ligos
Nors skoliozė gali išsivystyti visiems, mergaitės dažniau patiria stipresnius iškrypimus, todėl joms gali prireikti gydymo dažniau nei berniukams.
Komplikacijos
Negydoma stipri skoliozė ilgainiui gali sukelti:
- Lėtinį skausmą
- Kūno deformaciją
- Organų ar nervų pažeidimą
- Artritą
- Sunkesniais atvejais – kvėpavimo sunkumus ar stuburo skysčio nutekėjimą
Skoliozės nustatymas ir tyrimai
Skoliozės patikra
Skoliozės patikra dažnai atliekama vaikystėje ar paauglystėje per profilaktinius vizitus pas gydytoją ar mokyklos medicinos darbuotoją. Jos metu prašoma nusiimti marškinėlius, išsitiesti, o vėliau – pasilenkti į priekį link kojų pirštų. Taip įvertinami stuburo išlinkimai ir laikysena.
Tokia patikra leidžia anksčiau pastebėti iškrypimą ir esant poreikiui imtis priemonių.
Diagnozavimas
Norint patvirtinti skoliozės diagnozę, atliekamas fizinis ištyrimas: gydytojas apžiūri stuburą, vertina judėjimą ir tikrina raumenų stiprumą bei refleksus. Surenkama išsami sveikatos, šeimos ligų ir simptomų istorija.
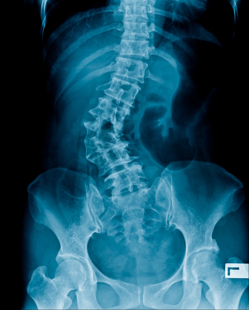
Esant reikalui, gydytojas gali paskirti papildomus tyrimus: rentgeno nuotraukas (dažniausiai iš priekio ir šono), kartais – magnetinio rezonanso arba kompiuterinės tomografijos tyrimus, kurie leidžia tiksliai įvertinti stuburo būklę.
Kada dažniausiai diagnozuojama?
Dažniausiai skoliozė nustatoma 10–15 metų amžiuje. Tačiau ir suaugę asmenys gali pirmą kartą išgirsti šią diagnozę, ypač jeigu vaikystėje iškrypimas liko nepastebėtas.
Kaip matuojamas stuburo iškrypimas?
- Mažiau nei 10 laipsnių iškrypimas – neskaitomas kaip skoliozė
- Lengva forma – nuo 10 iki 24 laipsnių
- Vidutinė forma – nuo 25 iki 39 laipsnių
- Sunki forma – daugiau nei 40 laipsnių
Iškrypimo kampas matuojamas specialiu prietaisu – skoliometru, kuris uždedamas ant nugaros. Tikslesniam įvertinimui naudojamos rentgeno nuotraukos.
Skoliozės gydymas
Gydymas reikalingas ne visais atvejais – sprendimą priima gydytojas įvertinęs skoliozės tipą, iškrypimo laipsnį, genetinius veiksnius, paciento amžių ir likusį augimo laiką.
- Konservatyvus gydymas (dažniausiai taikomas): reguliarūs vizitai kas 6 mėnesius, vaistai nuo skausmo ar uždegimo, mankštos ir tempimo pratimai, korsetų nešiojimas, pagrindinės ligos valdymas.
- Fizinė terapija: padeda stiprinti raumenis, gerina laikyseną, mažina skausmą. Gydytojas rekomenduos mankštas, aktyvumą, tempimo pratimus bei tinkamą fizinį aktyvumą.
- Chirurginis gydymas: reikalingas tais atvejais, kai konservatyvus gydymas neveiksmingas, iškrypimas progresuoja arba simptomai stiprėja. Dažniausiai atliekamos stuburo stabilizavimo procedūros (stuburo slankstelių sujungimas, metalinių laikiklių įdėjimas), vaikams – reguliuojamų strypų implantavimas augimui palaikyti.
Galimos chirurginio gydymo komplikacijos
- Infekcijos
- Kraujavimas
- Kraujagyslių užsikimšimas (krešuliai)
- Nervų pažeidimas
- Judrumo sumažėjimas
Ar galima išvengti skoliozės?
Kol kas nėra būdo visiškai užkirsti kelią skoliozės vystymuisi. Tačiau jeigu diagnozuota skoliozė, gydytojai dažnai pataria stiprinti nugaros ir pilvo raumenis bei reguliariai atlikti tempimo pratimus – tai padeda mažinti stuburo iškrypimo progresavimą.
Kas laukia gyvenant su skolioze?
Nors skoliozė dažniausiai nesukelia didelių nepatogumų, ilgainiui, ypač su amžiumi, gali atsirasti simptomų dėl stuburo degeneracinių pokyčių. Esant poreikiui, gydytojai padeda valdyti skausmą ir kitus simptomus.
Skoliozė gali pakeisti kūno proporcijas, o tai neretai daro įtaką savijautai ar pasitikėjimui savimi. Tuomet verta kreiptis pagalbos į psichologą ar kitą emocinės sveikatos specialistą.
Paprastai žmonės, turintys skoliozę, gali gyventi visavertį gyvenimą ir užsiimti kasdiene veikla.
Fizinis aktyvumas ir skoliozė
Dauguma fizinių veiklų yra saugios žmonėms, sergantiems skolioze. Rekomenduojama aptarti tinkamų sporto šakų pasirinkimą su gydytoju ar kineziterapeutu. Nuolatinis judėjimas padeda sumažinti ligos simptomus. Jei veiklos metu pajuntamas skausmas – reikėtų padaryti pertrauką ar visiškai nutraukti veiklą.
Ar sportas gali pakenkti?
Sportavimas nereiškia, kad skoliozė pablogės. Priešingai – užsiėmimai, stiprinantys liemens raumenis ir didinantys lankstumą (pavyzdžiui, plaukimas ar gimnastika), gali net sumažinti simptomų intensyvumą.
Kokie užsiėmimai ypač rekomenduojami?
- Plaukimas – stiprina visus kūno raumenis, stiprina liemenį.
- Gimnastika – lavina lankstumą ir liemens stiprumą.
Ar kažko reikėtų vengti?
Visi sportai dažniausiai leidžiami, įskaitant ir jėgos sportą, nebent pacientas neseniai patyrė nugaros operaciją. Tokiu atveju būtina vengti kontaktinių sporto šakų (ledo ritulio, imtynių, amerikietiško futbolo).
Kada kreiptis į gydytoją?
- Pastebite skoliozei būdingus simptomus ar požymius
- Gydymas neveiksmingas ar simptomai stiprėja
Tėvams taip pat svarbu kreiptis į gydytoją, jei rutininės apžiūros metu pastebėta nugaros iškrypimo požymių ar ligą turėjo kiti šeimos nariai.
Klausimai, kuriuos verta užduoti gydytojui
- Kokio tipo skoliozė diagnozuota man ar mano vaikui?
- Kokį gydymą rekomenduojate?
- Ar reikalinga operacija?
- Ar reikalinga kineziterapeutų pagalba?
- Kokios fizinės veiklos yra saugios?












